Auction House / Wales - Cardiff

  • For Sale By Unconditional Online Auction
  • Guide Price* : £49,000
  • Auction Ended 20/06/2023
  • Lot 14

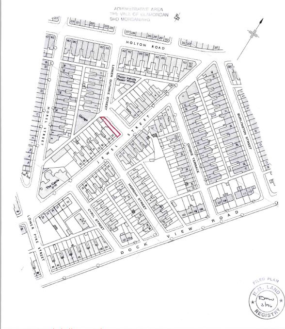
Land adjacent to 24 Jewel Street, Barry, South Glamorgan, CF63 3NQ

Bidding opens Monday 19th June 2023 at 13:00 and closes Tuesday 20th June 2023 at 13:00..

Description

Bidding opens Monday 19th June 2023 at 13:00 and closes Tuesday 20th June 2023 at 13:00..

Land with Planning for an End of Terrace Dwelling

A parcel of land that has the benefit of planning permission for a three storey end of terrace three bedroom modern dwelling. The area of land is located close to local shops, schools and amenities. Whilst also having good access to the popular Waterfront development, Barry Island and good commuting links to Cardiff.

Further plans are available within the legal pack which can be obtained through the Auction House Wales website. Alternatively, they are available to be viewed on the Vale of Glamorgan Planning Portal using the reference 2022/00400/FUL

Viewings Open to inspection

Tenure: Freehold

Important Notice to Prospective Buyers

We draw your attention to the Special Conditions of Sale within the Legal Pack, referring to other charges in addition to the purchase price which may become payable. Such costs may include Search Fees, reimbursement of Sellers costs and Legal Fees, and Transfer Fees amongst others.

Administration Charge

1.2% inc VAT of the purchase price, subject to a minimum of £1200 inc VAT, payable on exchange of contracts.

Loading the bidding panel...

* Guide | £49,000
  • Unconditional (Immediate Exchange)

Call the team on 02920 475 184 for more information

Disclaimer: The map preview provided above is for general guidance only and may not accurately reflect the exact location or surrounding buildings. Prospective buyers and interested parties are strongly advised to independently verify the precise location and surroundings before bidding.

Note

  1. MONEY LAUNDERING REGULATIONS: Intending purchasers will be asked to produce identification documentation at a later stage and we would ask for your co-operation in order that there will be no delay in agreeing the sale.
  2. General : While we endeavour to make our sales particulars fair, accurate and reliable, they are only a general guide to the property and, accordingly, if there is any point which is of particular importance to you, please contact the office and we will be pleased to check the position for you, especially if you are contemplating travelling some distance to view the property.
  3. Measurements: These approximate room sizes are only intended as general guidance. You must verify the dimensions carefully before ordering carpets or any built-in furniture.
  4. Services: Please note we have not tested the services or any of the equipment or appliances in this property, accordingly we strongly advise prospective buyers to commission their own survey or service reports before finalising their offer to purchase.
  5. THESE PARTICULARS ARE ISSUED IN GOOD FAITH BUT DO NOT CONSTITUTE REPRESENTATIONS OF FACT OR FORM PART OF ANY OFFER OR CONTRACT. THE MATTERS REFERRED TO IN THESE PARTICULARS SHOULD BE INDEPENDENTLY VERIFIED BY PROSPECTIVE BUYERS OR TENANTS. NEITHER AUCTION HOUSE NOR ANY OF ITS EMPLOYEES OR AGENTS HAS ANY AUTHORITY TO MAKE OR GIVE ANY REPRESENTATION OR WARRANTY WHATEVER IN RELATION TO THIS PROPERTY.