Auction House / South Yorkshire

  • For Sale By Unconditional Online Auction
  • Guide Price* : £1
  • Bidding Opens 20/04/2026 13:00
  • Lot 102

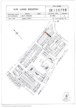
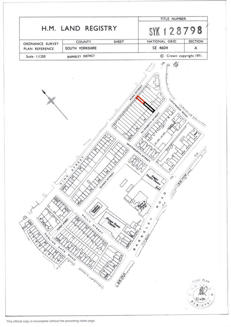
Land and Garage to Rear of 12 Elizabeth Street Goldthorpe, Rotherham, South Yorkshire, S63 9NA

Land & Garage with Rear Access – Prime Auction Opportunity – £1 Guide Price, Nil Reserve.

Description

A rare opportunity to acquire a parcel of land with a detached garage located to the rear of 12 Elizabeth Street in the popular residential area of Goldthorpe, Rotherham. Offered for sale by auction with a guide price of £1 and no reserve, the property presents an excellent investment or redevelopment opportunity.

The site comprises a single garage positioned on a small plot of land, accessed via a rear service lane serving the surrounding residential properties. The garage is of traditional construction with an up-and-over door and offers potential for storage, parking, or redevelopment, subject to any necessary planning consents.

The surrounding area is predominantly residential with good access to local amenities, schools, and transport links. Goldthorpe town centre is nearby, while the property also benefits from convenient access to the A635 and A1(M), providing routes to Barnsley, Doncaster, and Rotherham.

This lot will appeal to investors, developers, and local residents seeking secure storage, parking provision, or a small land holding with future potential.

Key Features
•{tab}Land with detached garage
•{tab}Rear access via service lane
•{tab}Popular residential location
•{tab}Potential for storage, parking, or alternative use (STP)
•{tab}Guide Price £1
•{tab}Nil Reserve Auction
•{tab}Investment / development opportunity

Note to Buyers
Prospective purchasers are advised to review the legal pack prior to bidding and rely on their own inspections and enquiries regarding planning and future use.

Auctioneer’s Note
The guide price is provided as an indication of the seller’s expectation. The property will be sold to the highest bidder, and with no reserve in place the lot will sell on auction day.

Tenure: See Legal Pack

Important Notice to Prospective Buyers

We draw your attention to the Special Conditions of Sale within the Legal Pack, referring to other charges in addition to the purchase price which may become payable. Such costs may include Search Fees, reimbursement of Sellers costs and Legal Fees, and Transfer Fees amongst others.

Administration Charge

Administration Charge is a non-refundable £1,200 inc VAT payable on the fall of the virtual gavel.

Loading the bidding panel...

Make An Enquiry

Submit an enquiry for this lot and someone will be in contact shortly.

 
 
 
* Guide | £1
  • Unconditional (Immediate Exchange)

Call the team on 0114 223 0777 for more information

Disclaimer: The map preview provided above is for general guidance only and may not accurately reflect the exact location or surrounding buildings. Prospective buyers and interested parties are strongly advised to independently verify the precise location and surroundings before bidding.

Note

  1. MONEY LAUNDERING REGULATIONS: Intending purchasers will be asked to produce identification documentation at a later stage and we would ask for your co-operation in order that there will be no delay in agreeing the sale.
  2. General : While we endeavour to make our sales particulars fair, accurate and reliable, they are only a general guide to the property and, accordingly, if there is any point which is of particular importance to you, please contact the office and we will be pleased to check the position for you, especially if you are contemplating travelling some distance to view the property.
  3. Measurements: These approximate room sizes are only intended as general guidance. You must verify the dimensions carefully before ordering carpets or any built-in furniture.
  4. Services: Please note we have not tested the services or any of the equipment or appliances in this property, accordingly we strongly advise prospective buyers to commission their own survey or service reports before finalising their offer to purchase.
  5. THESE PARTICULARS ARE ISSUED IN GOOD FAITH BUT DO NOT CONSTITUTE REPRESENTATIONS OF FACT OR FORM PART OF ANY OFFER OR CONTRACT. THE MATTERS REFERRED TO IN THESE PARTICULARS SHOULD BE INDEPENDENTLY VERIFIED BY PROSPECTIVE BUYERS OR TENANTS. NEITHER AUCTION HOUSE NOR ANY OF ITS EMPLOYEES OR AGENTS HAS ANY AUTHORITY TO MAKE OR GIVE ANY REPRESENTATION OR WARRANTY WHATEVER IN RELATION TO THIS PROPERTY.