Auction House / Manchester

  • For Sale By Unconditional Online Auction
  • Guide Price* : £4,000+
  • Auction Ended 04/06/2024
  • Lot 16

Ground Rents on Talbot Road, Hyde, SK14 4EX, and Malone House, Oldham, OL4 5AE

FOR SALE BY ONLINE AUCTION ON TUESDAY 4TH JUNE 2024

Description

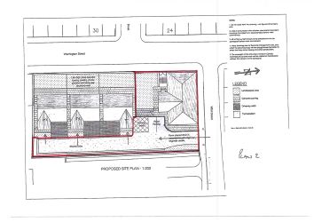
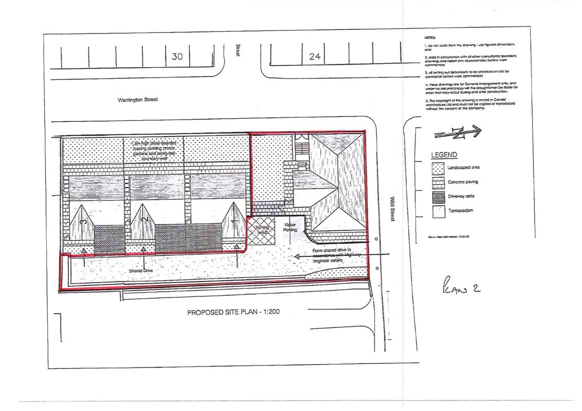
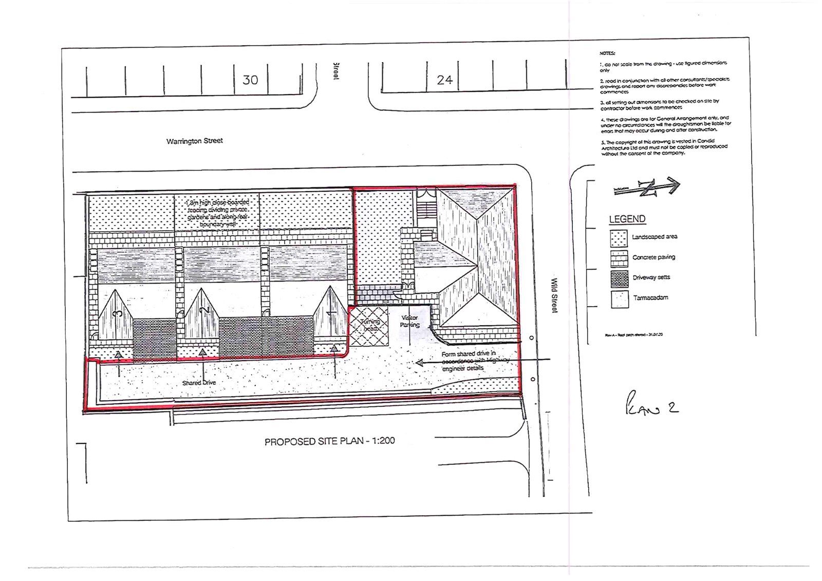
5 Freehold Ground Rents comprising two parcels of Freehold land benefiting from long leasehold receivable Ground Rents. The first parcel comprises number 73F Talbot Road, Hyde producing £250pa and shown the Plan. The second parcel comprises Flats 1-4 Malone House, Warrington Street, Lees, Oldham producing £100pa each and shown edged red on Plan 2. Great starter investment.

Prospective purchasers are advised to check the legal pack for clarification.

*Please note there will be an additional buyers premium of £1,500 incl VAT payable on this Lot. *

Important Notice to Prospective Buyers

We draw your attention to the Special Conditions of Sale within the Legal Pack, referring to other charges in addition to the purchase price which may become payable. Such costs may include Search Fees, reimbursement of Sellers costs and Legal Fees, and Transfer Fees amongst others.

Buyers Premium

£1,500 inc VAT

Administration Charge

0.9% inc VAT, subject to a minimum of £1500 inc VAT.

Loading the bidding panel...

* Guide | £4,000+
  • Unconditional (Immediate Exchange)

Call the team on 0161 925 3254 for more information

Disclaimer: The map preview provided above is for general guidance only and may not accurately reflect the exact location or surrounding buildings. Prospective buyers and interested parties are strongly advised to independently verify the precise location and surroundings before bidding.

Note

  1. MONEY LAUNDERING REGULATIONS: Intending purchasers will be asked to produce identification documentation at a later stage and we would ask for your co-operation in order that there will be no delay in agreeing the sale.
  2. General : While we endeavour to make our sales particulars fair, accurate and reliable, they are only a general guide to the property and, accordingly, if there is any point which is of particular importance to you, please contact the office and we will be pleased to check the position for you, especially if you are contemplating travelling some distance to view the property.
  3. Measurements: These approximate room sizes are only intended as general guidance. You must verify the dimensions carefully before ordering carpets or any built-in furniture.
  4. Services: Please note we have not tested the services or any of the equipment or appliances in this property, accordingly we strongly advise prospective buyers to commission their own survey or service reports before finalising their offer to purchase.
  5. THESE PARTICULARS ARE ISSUED IN GOOD FAITH BUT DO NOT CONSTITUTE REPRESENTATIONS OF FACT OR FORM PART OF ANY OFFER OR CONTRACT. THE MATTERS REFERRED TO IN THESE PARTICULARS SHOULD BE INDEPENDENTLY VERIFIED BY PROSPECTIVE BUYERS OR TENANTS. NEITHER AUCTION HOUSE NOR ANY OF ITS EMPLOYEES OR AGENTS HAS ANY AUTHORITY TO MAKE OR GIVE ANY REPRESENTATION OR WARRANTY WHATEVER IN RELATION TO THIS PROPERTY.